Beyond Category 5: Hurricane Melissa intensifies to 175 MPH, shattering records as it closes in on Jamaica
- Hurricane Melissa has intensified into a Category 5 storm, posing a catastrophic threat to Jamaica.
- The storm’s slow movement threatens to dump up to 40 inches of rain, causing severe flooding and landslides.
- Mandatory evacuations are underway in Jamaica, and the island’s international airports have closed.
- The storm has already caused fatalities and significant damage in Haiti and the Dominican Republic.
- Forecasters warn Melissa could be the most powerful hurricane to directly strike Jamaica in recorded history.
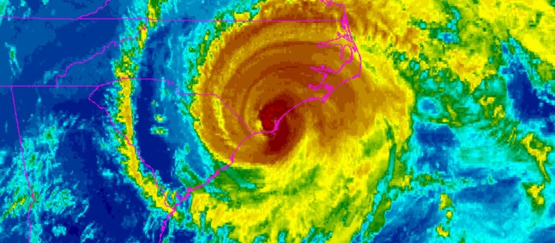
The Caribbean is confronting a meteorological nightmare as Hurricane Melissa, now a maximum Category 5 storm, relentlessly approaches Jamaica. On Monday, October 27, 2025, the U.S. National Hurricane Center warned of catastrophic winds, life-threatening storm surge and biblical rainfall amounts set to pummel the island nation. With sustained winds of 160 mph and intensifying, Melissa represents the most severe direct threat to Jamaica in decades, prompting urgent evacuations, the closure of international airports and a dire warning for residents to seek immediate shelter.
Unprecedented threat to Jamaica
Hurricane Melissa’s classification on the Saffir-Simpson scale places it among the most powerful cyclones on Earth. Meteorologists reported the storm was centered approximately 135 miles southwest of Kingston early Monday, moving at an agonizingly slow pace of just 3 mph. This sluggish traversal is a critical factor that dramatically increases the threat level. The longer the storm lingers, the more rain it can dump and the longer destructive winds can batter infrastructure.
The National Hurricane Center has warned of a life-threatening storm surge of up to 13 feet above ground level inundating Jamaica’s southern coast. However, the primary concern is the forecast for extreme rainfall, with some eastern regions, particularly the Blue Mountains, bracing for up to 40 inches of precipitation in a matter of days. This amount represents roughly half of the area’s average annual rainfall, creating a high potential for devastating flash flooding and countless landslides that could isolate communities for days or weeks.
Regional impacts and historical context
The danger extends beyond Jamaica. The storm has already left a trail of destruction across the northern Caribbean. Officials confirmed at least three deaths in Haiti and one in the Dominican Republic, where another person remains missing. In the Dominican Republic, Melissa damaged more than 750 homes and displaced nearly 3,800 people, with floodwaters isolating 48 communities. In Cuba, hurricane warnings were in effect for eastern provinces, with forecasts predicting up to 20 inches of rain and significant coastal storm surge as the system makes landfall late Tuesday.
The historical context underscores the severity of this event. Evan Thompson, principal director of Jamaica’s meteorological service, stated Melissa could be the strongest hurricane to hit the island in living memory. Its impact is expected to far exceed that of Hurricane Gilbert, which struck as a Category 3 storm in 1988, causing widespread damage. While powerful hurricanes like Ivan and Beryl have passed nearby, neither made direct landfall on Jamaica as a Category 4 or 5 storm, making Melissa an unprecedented modern threat.
Frantic preparedness response
In response to the looming catastrophe, Jamaican authorities have initiated mandatory evacuations in seven flood-prone communities, with buses deployed to transport residents to designated shelters. The country’s entire emergency management apparatus is activated. “I want to urge Jamaicans to take this seriously,” said Desmond McKenzie, deputy chairman of Jamaica’s Disaster Risk Management Council. “Do not gamble with Melissa. It’s not a safe bet.”
All three of Jamaica’s international airports—Norman Manley in Kingston, Ian Fleming in Ocho Rios and Sangster in Montego Bay—have been closed to all traffic. The U.S. Embassy in Jamaica issued a stark alert, advising American citizens to prepare to shelter in place and follow all instructions from local authorities. The U.S. State Department confirmed it is monitoring the situation and assessing the potential need for a disaster assistance response, with emergency supplies prepositioned in global warehouses.
A storm of record-breaking intensity
Hurricane Melissa’s rapid intensification over the warm waters of the Caribbean Sea propelled it to become the strongest storm of the 2025 Atlantic hurricane season. By Monday afternoon, the National Hurricane Center reported that Melissa’s sustained winds had increased to 175 mph, cementing its status as a high-end Category 5 hurricane. Some forecasting models suggested wind speeds could potentially reach 180 mph, a intensity that threatens to break records for a landfalling hurricane in Jamaica.
The storm’s formation and behavior contribute to a concerning pattern of rapidly intensifying hurricanes in a warming climate. Melissa began as a cluster of thunderstorms off the coast of West Africa, traveling west and developing into a tropical depression before undergoing a period of explosive strengthening over the weekend. This trajectory from a minor disturbance to a catastrophic major hurricane in a short timeframe highlights the increasing challenges faced by forecasters and emergency managers.
Bracing for the long recovery
As Jamaica hunkers down for a direct hit from one of the most powerful storms in its history, the focus is squarely on survival. The immediate aftermath will likely be defined by extensive infrastructure damage, prolonged power and communication outages, and communities cut off by floodwaters and landslides. The path of Hurricane Melissa serves as a sobering reminder of the immense destructive power of nature and the vulnerability of coastal and island communities to such extreme weather events. The long and difficult task of assessment and recovery will begin only after the catastrophic winds and floodwaters finally recede.
Sources for this article include:
